Tin tổng hợp
Người và xe lọt xuống 'hố tử thần' xuất hiện do mưa lớn ở Đà Nẵng
Mưa lớn gây sụt lún mố đầu cầu, tạo thành hố sâu khiến người chạy xe máy gặp nạn. Chiều tối 26/10, lãnh đạo UBND xã Trà Tân, TP Đà Nẵng, xác nhận thông tin trên. Theo đó, khoảng 15h cùng ngày,...
Thuỷ điện ở Huế xả lũ 1.800 m³/s, nhiều khu vực ở hạ du ngập sâu
Hai hồ thuỷ điện lớn ở Huế là Hương Điền và Bình Điện xả lũ lên tới 1.800 m³/s làm nước sông lên cao, nhiều khu vực ở hạ du ngập sâu, học sinh được nghỉ học. Tối 26/10, Sở Giáo dục và Đào tạo TP...
Trôi vào cống nước, học sinh lớp 3 tử vong thương tâm
Mưa lớn, một học sinh lớp 3 ra trước nhà nghịch nước và không may trôi tuột vào cống, dẫn tới ngạt nước. Tối 26/10, ông Ngô Tấn Lạc - Phó Chủ tịch UBND xã Trà Tập, TP Đà Nẵng - xác nhận trên địa...
Lũ lịch sử ở Huế khiến 35.000 ngôi nhà bị ngập sâu, 2 người chết và mất tích
Tính đến thời điểm hiện tại, trận mưa lũ lịch sử ở Huế làm 2 người chết, mất tích, hơn 35.000 ngôi nhà bị ngập. Ban Chỉ huy Phòng thủ dân sự TP Huế cho biết, tính đến thời điểm hiện tại, đợt mưa...
Thời tiết gây mưa ở miền Trung kéo dài đến khi nào?
Tình hình ngập lụt sâu, diện rộng tại thành phố Huế, thành phố Đà Nẵng tiếp tục duy trì trong vài ngày tới; nguy cơ cao xảy ra lũ quét trên các sông suối và sạt lở đất trên các sườn dốc các tỉnh từ th...
Gia Lai đối mặt nguy cơ sạt lở và ngập lụt, Chủ tịch tỉnh chỉ đạo khẩn
Để ứng phó với mưa lớn gây nguy cơ sạt lở và ngập lụt, Chủ tịch tỉnh Gia Lai yêu cầu các đơn vị triển khai ngay các nhiệm vụ cấp bách, bảo đảm an toàn cho người dân. Tối 28/10, ông Phạm Anh Tuấ...
Từ đêm 30/10, thời tiết miền Bắc đón không khí lạnh tăng cường
Theo Trung tâm Dự báo Khí tượng Thuỷ văn Quốc gia, từ đêm 30/10, miền Bắc nước ta sẽ đón không khí lạnh tăng cường. Theo đó, từ đêm 30/10, không khí lạnh tăng cường có thể bắt đầu ảnh hưởng đến vùn...
Tỉnh lộ ở miền núi TP Huế xuất hiện vết nứt dài trong đợt mưa lũ lịch sử
Mưa lớn lịch sử khiến một số điểm tại xã miền núi Long Quảng (TP Huế) sạt lở, tuyến tỉnh lộ 14B xuất hiện vết nứt dài khoảng 20m. Lãnh đạo UBND xã Long Quảng (TP Huế) cho biết, mưa lớn những ngày...
Lốc xoáy thổi bay hàng chục nhà ở Cà Mau
Trận lốc xoáy ở xã Thanh Tùng (huyện Đầm Dơi cũ) khiến 17 căn nhà và nhiều ao tôm bị hư hại. Khuya 28/10, cơn lốc xuất hiện ở khu vực ấp Thanh Tùng khi ở đây đang mưa khá lớn. Ban đầu lốc khá nhẹ...
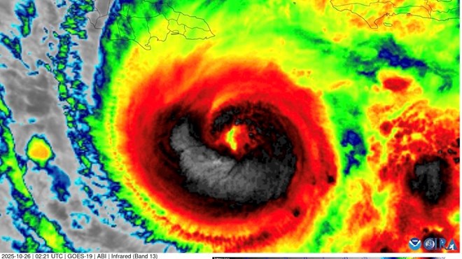
Bão Melissa mạnh nhất thế giới trong năm gây thiệt hại 'thế kỷ' ở Jamaica, chuẩn bị quét qua Cuba
Bão Melissa - được đánh giá là cơn bão mạnh nhất thế giới trong năm 2025 - hoành hành hơn 1 tuần ở các quốc đảo Caribe, gây thiệt hại chưa xác định được về người và của. Bão Melissa – cơn bão mạnh nh...
Danh mục bài viết
Bài viết mới nhất
-
Dự báo thời tiết 8/12: Áp thấp nhiệt đới vào Biển Đông, Hà Nội đêm rét ngày nắng
-
Dự báo thời tiết 7/12: Thời tiết miền Bắc mưa rét, miền Trung cục bộ mưa to và dông
-
Dự báo thời tiết 6/12: Thời tiết Hà Nội rét nhất 18°C, xuất hiện sương mù
-
Dự báo thời tiết 1/12: Vùng núi Bắc Bộ nguy cơ có băng giá, bão số 15 giảm cấp
-
Dự báo thời tiết 30/11: Thời tiết miền Bắc hanh khô, đêm chuyển mưa vài nơi